하루종일 짙은 해무에..
고생만 하셨습니다~
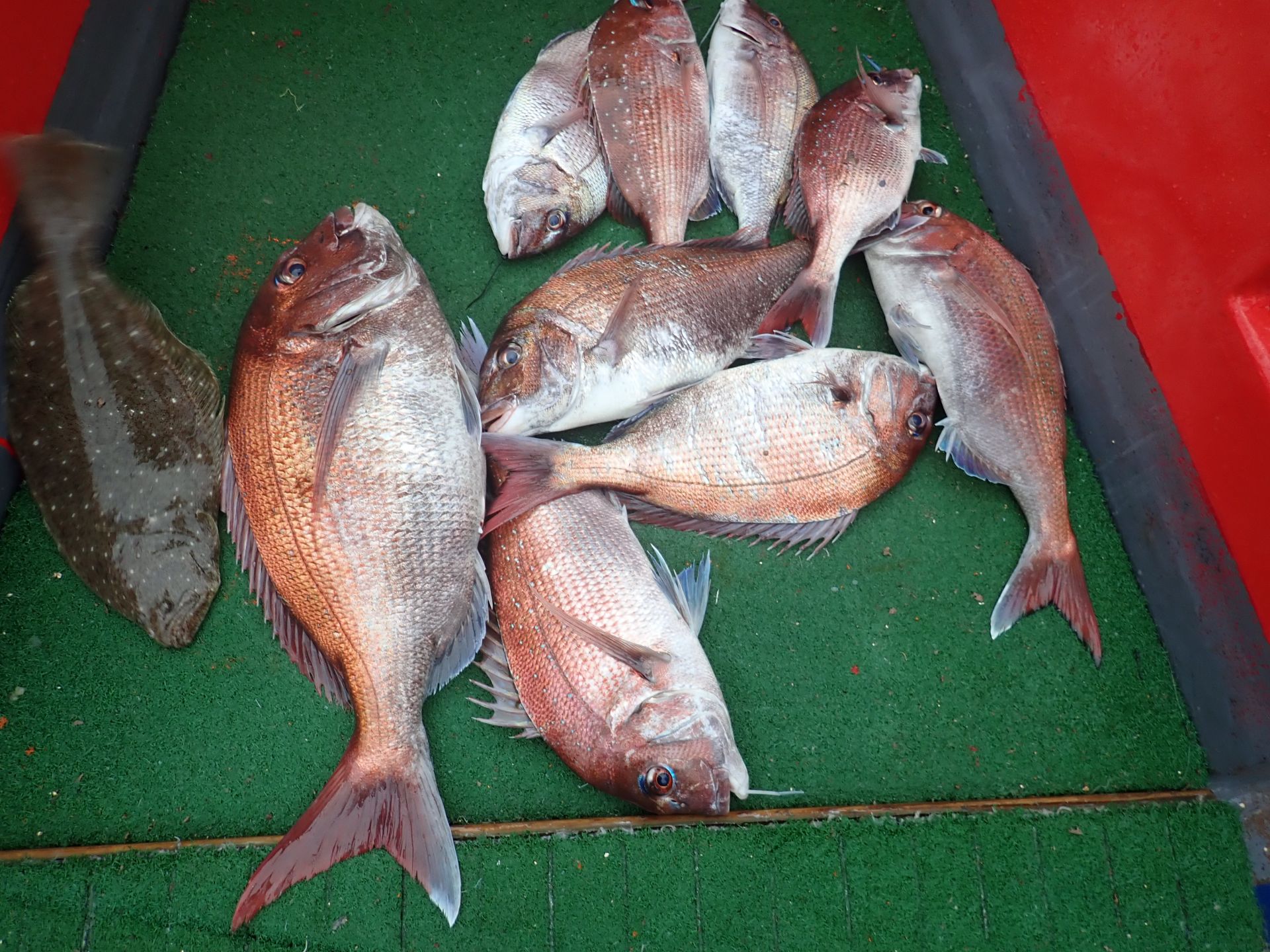
■■ 해상1호 ■■ 2019.9.8일 …
가고파호 1,826
2019년09월05일 주꾸미출조
가고파호 2,032
2019년09월04일 주꾸미 출조
가고파호 1,680
2019년09월02일 주꾸미출조
가고파호 1,637
2019년09원01일 주꾸미출조
가고파호 1,580
2019년08월21일 조업출조
가고파호 1,666
2019년8월18일 백조기
가고파호 1,592
2019년8월10일 백조기
가고파호 1,681
2019년08월07일 참돔출조
가고파호 1,513
2019년07월27일 백조기
가고파호 2 2,477
2019년07월02일 외수질
가고파호 1,730
2019년06월28일 참돔출조
가고파호 1,520
가고파선단 낚시대회
가고파호 2,044
2019년06월19일 참돔출조
가고파호 1,586
2019년06월16일 다운샷출조
가고파호 1,684
2019년06월09일 참돔출조
가고파호 2,040
2019년06월06일 참돔출조
가고파호 2,207
2019년06월01일 참돔출조
가고파호 1,644
다운샷 출조
가고파호 1,547
가고파호 참돔출조
가고파호 1,554